初の子連れ海外旅行グアム:滞在2日目は、グアムにハリケーンが近づいていましたが、なんと朝から晴天!!きっと私の日頃の行いが良いからに違いない~(笑)・・とはいえ、やはり風が強くて海は少し荒れている状態。おそらくこの時のファイファイビーチのコンディションは「イマイチ」だったのではないでしょうか。
今回は、ファイファイビーチの風景写真や水中写真をアップしようと思いますが、ビーチのベストコンディションはもっともっと素晴らしいはず!なので、そのつもりで見ていただければと思います。
※この記事は、前回書いた「グアム2015:ファイファイビーチのオプショナルツアーに参加」の続きとなります。
いろいろな風景写真をご紹介
花と記念写真
まずは近くを散策。あちこちにたくさんの花が咲いていて、赤い花が眩しかった!


娘にレンタルのライフジャケットを着せて、さぁ!いざ海に入ろうか!と思ったところで、現地のカメラマンにつかまりました。何でも記念写真を撮ってくれるとか?!・・すっかりのせられて、それっぽい写真を撮ってもらう娘(笑)

この後、家族でもそれっぽい写真を撮ってもらいました。そしてツアー解散前にちゃっかり買わされました(もちろん値切ったけどね!ふふっ!)
ファイファイビーチの風景写真
はい、お待たせしました。ファイファイビーチの風景写真です。ざっとご紹介します。
白砂に青く透き通る海。これぞリゾート!

陸側から海に向けて撮った写真。水面が水色で綺麗!

海側から陸に向けて撮った写真。透明度が高くクリアでした。

ちなみに、陸側の風景はこんな感じ。ちょっとジャングルみたい。

もちろんヤシの木もたくさん生えてました~。昔っからヤシの木見ると写真を撮らずにはいられません。

海の真上から撮った水面の写真。高透明度!
海の真上から、水面の写真も撮ってみました。ヒトデが見えますか?

結構立派なお魚も、ファイファイビーチは透明度が高いため、水面から見えます。

現地スタッフの方がパンを持って登場!ここでは餌付けツアーにも参加できます。

水中の写真もいくつかご紹介
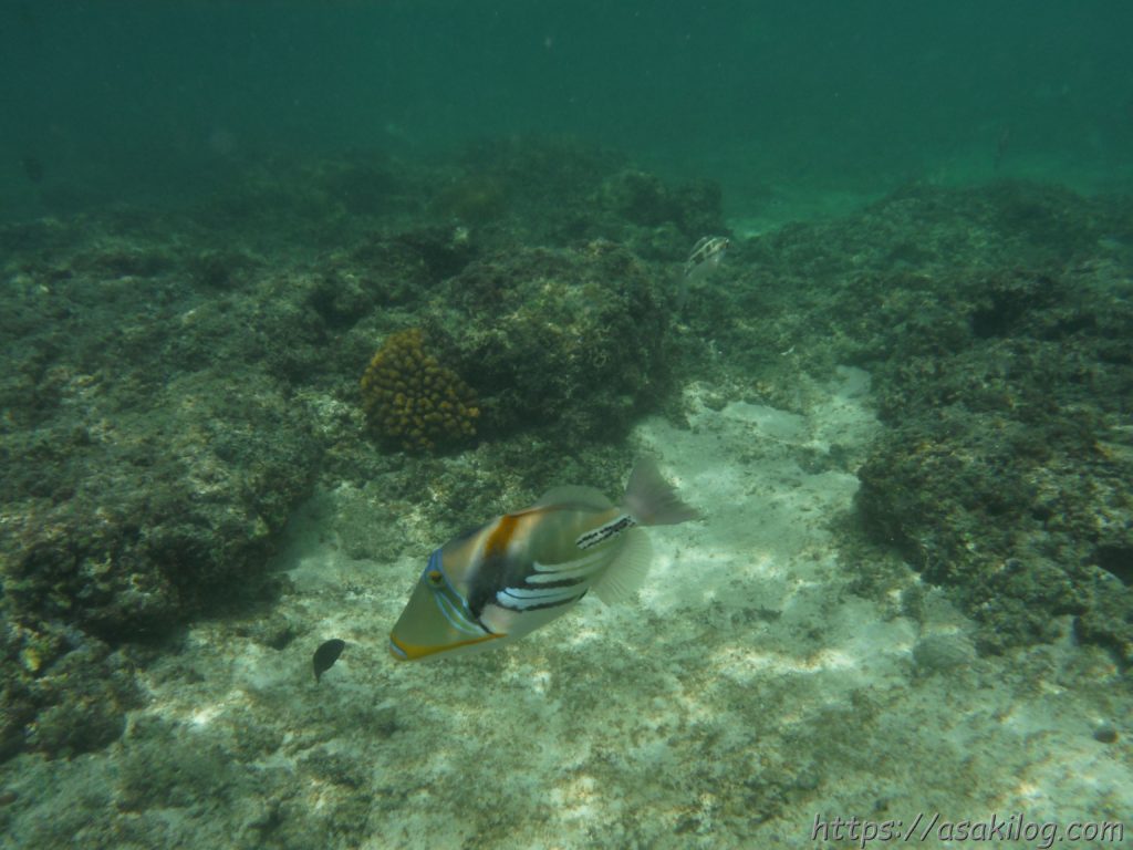
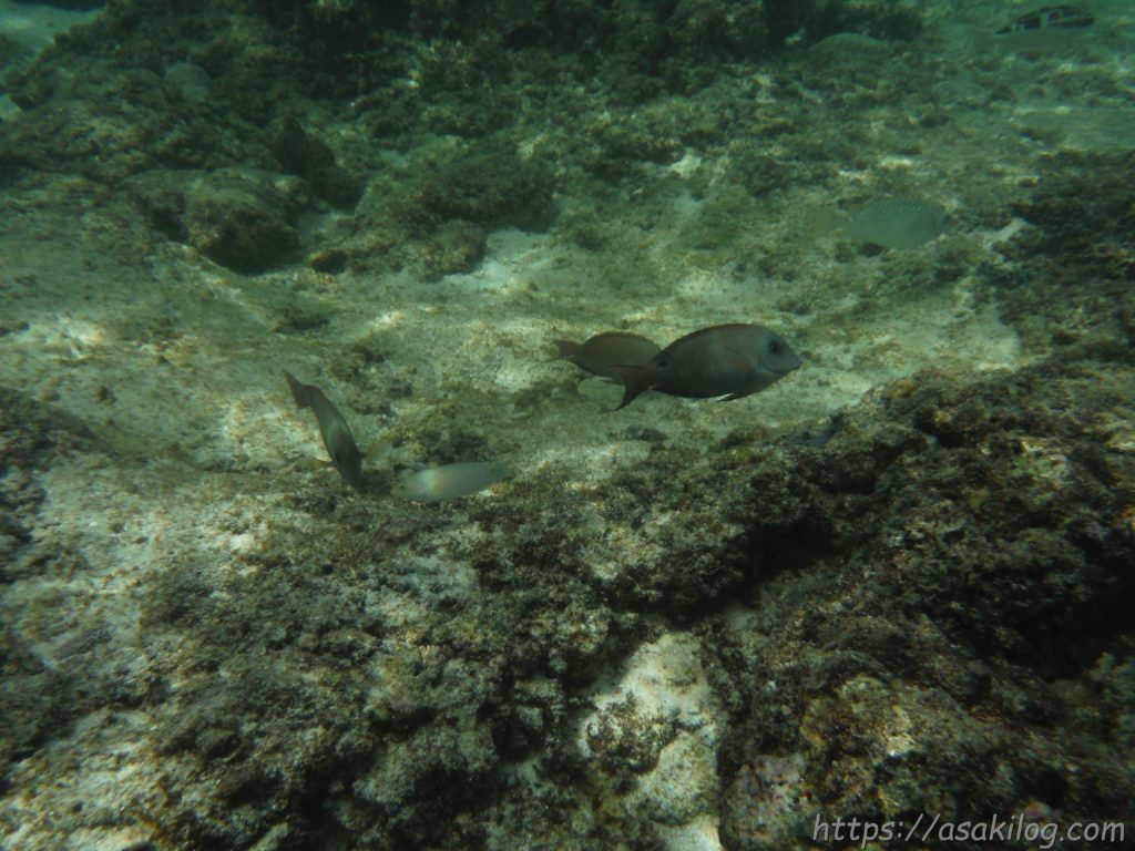
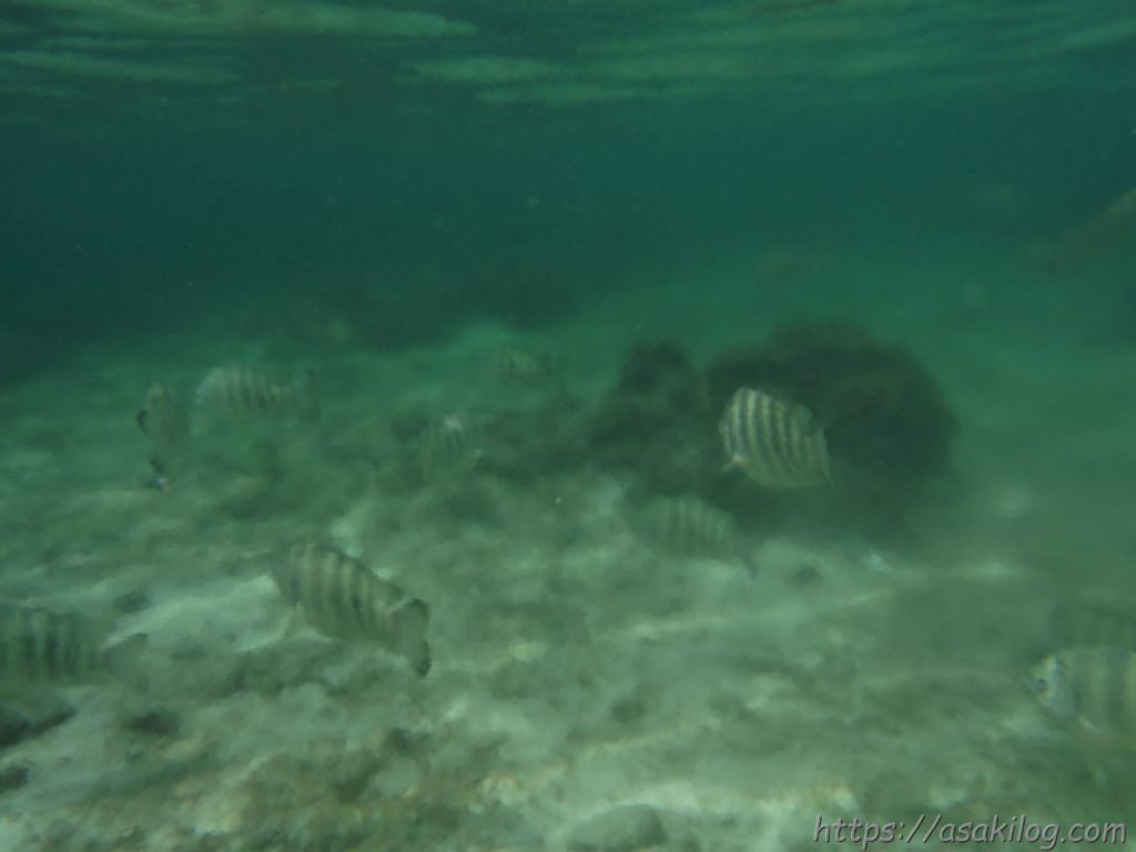
こんなに透明度の高い海で、シュノーケリングをしないわけがありません!というわけで、シュノーケリングしつつも、水中写真も撮ってみました。
ハリケーンが近づいていた割には、高い透明度。奥まで見渡せます。

お魚もこんなに近くにきてくれました。いろいろな種類がいましたよ!




細長いサヨリもいました。

サヨリは、10年前にココパームガーデンビーチでも見たお魚です。この時の写真と比べると、やっぱり透明度はイマイチだったのかもしれません。
ちなみにこのグアム旅行では水中写真を撮りたいがために、DMM.COMのいろいろレンタルで防水カメラをレンタルしました。(FinePix XP70、7日間、4,450円)
以前ダイビングで水中写真を撮っていた時のデジカメ+ハウジングセットは一応持っているのですが、かなり古いためデジカメの性能も低く、またセッティングとメンテナンスが面倒&荷物にもなるため、そのまま楽に使える防水カメラにしました。ちょっとレンズに水滴がついてしまうなどといった使いにくさはありましたが、それ以外は満足。かなり楽に水中写真を撮ることができましたので、おすすめですよ~!
これにて一旦、この記事はおしまい!となります。
次の記事では、ファイファイビーチでのランチやショーについてご紹介します~。
